TEST

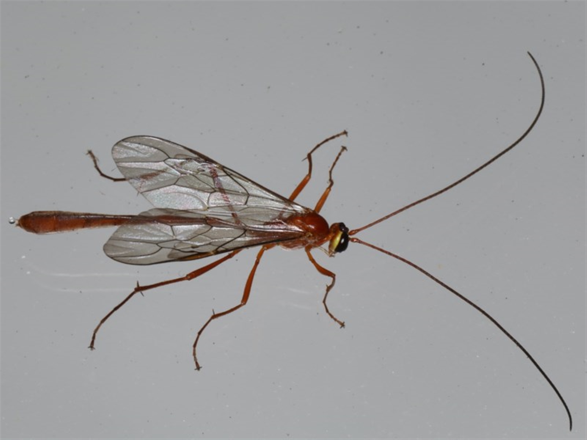
Dicamptus fuscicornis

Ichneumon wasp at Lilli Pilli, NSW

Dicamptus fuscicornis at Lilli Pilli, NSW - 6 Jun 2020 10:10 AM
Dicamptus fuscicornis at Lilli Pilli, NSW - 6 Jun 2020 10:10 AM
Dicamptus fuscicornis at Lilli Pilli, NSW - 6 Jun 2020 10:10 AM
Dicamptus fuscicornis at Lilli Pilli, NSW - 6 Jun 2020 10:10 AM
Request use of media

Identification history

Dicamptus fuscicornis 8 Aug 2020 jb2602
Dicamptus fuscicornis 6 Jun 2020 jb2602

Identify this sighting


Please Login or Register to identify this sighting.

Be the first to comment


Please Login or Register to comment.

Location information

Sighting information

Species information

Record quality

  • Images or audio
  • More than one media file
  • Verified by an expert moderator
  • Nearby sighting(s) of same species
  • GPS evidence of location
  • Description
  • Additional attributes
834,128 sightings of 22,989 species from 14,478 members
CCA 3.0 | privacy
NatureMapr is developed by at3am IT Pty Ltd and is proudly Australian made